Submitted:
25 February 2024
Posted:
27 February 2024
Read the latest preprint version here
Abstract
Keywords:
1. Introduction
"The walls and side naves have been displaced, but the central vault has collapsed. It was destroyed not so much by the magnitude of the earthquake itself, but by the thrust, so to speak, of the reinforcement, that is, the energetic compression suffered by the side walls."
Regarding the nave and dome of the transversal chapel that started from the church tower and ran along the entire right facade, they suffered minor damage, the lantern was severely damaged, and the dome had fractured ribs [22].
2. Material and Methods
2.1. Graphic Historical Research
2.2. Constructive Hypothesis
2.3. Graphic Restitution
2.4. Structural Analysis
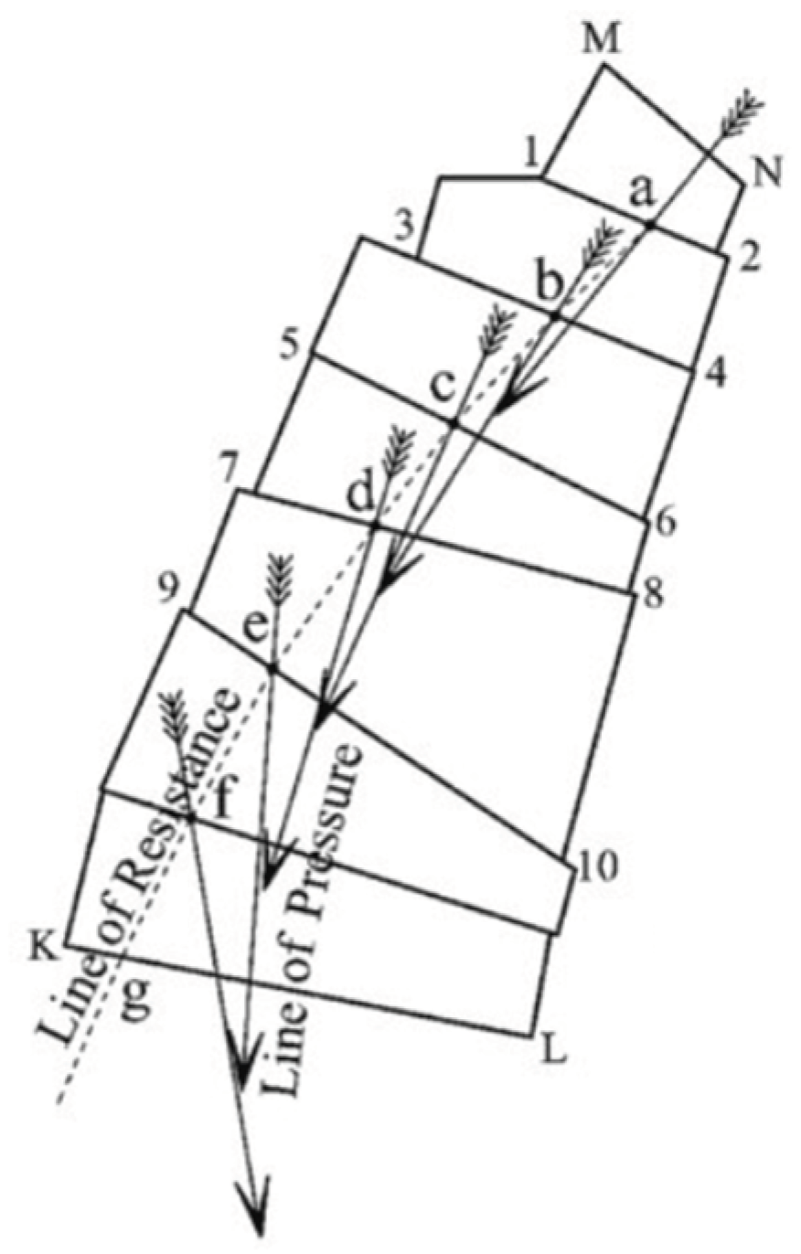
Limit Analysis of Structures
3. Results and Discussion
3.1. Graphic Historical Research
3.2. Constructive Hypothesis
3.3. Graphic Restitution
3.4. Vault section Selection
"In a building of these characteristics, buttresses are of fundamental importance to resist the thrusts of the vaults. For example, in the same Matriz, whose slender wall of the facade in the segment corresponding to the vaults did not collapse, probably due to its configuration with lateral triangular segments, which beyond architecturally composing the facade, could also act as buttresses. Thus, the slender composition of the central nave without apparent buttresses was nothing more than a house of cards waiting for a breath to come crashing down" [18].
Therefore, during an inspection of the exterior part of the vault carried out by some ecclesiastical authorities in 1947, the presence of some deep cracks would have been noted. Upon this, the auditor of the nunciature, Monsignor Salvador Siino, instinctively exclaimed, "God willing, Ambato does not have a strong earthquake, because this construction will not withstand a strong seismic movement!" [7].
4. Discussion and Conclusions
Author Contributions
Funding
Institutional Review Board Statement
Informed Consent Statement
Data Availability Statement
Acknowledgments
Conflicts of Interest
References
- Alexakis, H., y Makris, N. (2013). Minimum thickness of elliptical masonry arches. Acta Mechanica 224(12), 2977–2991. [CrossRef]
- Alexakis, H., y Makris, N. (2015). Limit equilibrium analysis of masonry arches. Archive of Applied Mechanics 85, 1363–1381. [CrossRef]
- AAH. (2022). Facebook Ambato Ayer y Hoy. Available online: https://www.facebook.com/Ambatoayeryhoy/photos.
- Archivo Blomberg. (2022). Iglesia Matriz de Ambato después del terremoto de 1949.
- Casado, A. (2012). Análisis estructural por medio de los métodos gráficos, Trabajo de fin de grado. Barcelona: Universidad Jaume I.
- Cevallos, A. (1994). Arte, diseño y arquitectura en el Ecuador : la obra del Padre Bruning, 1899-1938, Museos del Banco Central del Ecuador. Quito: Ediciones Abya-Yala.
- Echeverría, B. (1968). La Catedral de Ambato, Ambato: Editorial Pio XII.
- Heyman, J. (1969). The safety of masonry arches. International Journal of Mechanical Sciences. 11, 363–385.
- FAA. Fotos antiguas de Ambato antiguo 1840-1980. Available online: https://www.facebook.com/groups/fotosantiguasdeambato/?locale=es_LA.
- Heyman, J. (1982). The masonry arch, (Ellis Horwood Ltd. (ed.); 1st ed.). Chichester.
- Heyman, J. (1995). Teoría, historia y restauración de estructuras de fábrica, (Instituto Juan de Herrera (ed.)).
- Heyman, J. (1999). El esqueleto de piedra. Mecánica de la arquitectura de fábrica, Madrid: Instituto Juan de Herrera.
- Huerta, S. (2004). Arcos, bóvedas y cúpulas. Geometría y equilibrio en el cálculo tradicional de estructuras de fábrica, Madrid: Instituto Juan de Herrera.
- IGPN. (2011). Instituto Geofísico. Escuela Politécnica Nacional. El gran terremoto de Pelileo: 5 de agosto de 1949. Available online: https://www.igepn.edu.ec/servicios/noticias/456-gran-terremoto-de-pelileo-5-de-agosto-de-1949.
- INPC. (2022). Fotografía patrimonial. Instituto Nacional de Patrimonio Cultural. Terremoto de Ambato Iglesia Catedral. Available online: http://fotografiapatrimonial.gob.ec/web/es/galeria/element/14227.
- López Ulloa, F. (2013). La construcción tradicional en Ambato -Ecuador, a finales del siglo XIX y principios del XX. La piedra Pishilata. Actas del Octavo Congreso Nacional de Historia de la Construcción. Madrid, 9-12 de octubre de 2013, Madrid: Instituto Juan de Herrera.
- López Ulloa, F. , Coord. (2023). Análisis arquitectónico del núcleo central de Ambato entre 1895 y 1949: estilos, tipos, técnicas, pérdidas y permanencias. Proyecto de investigación. Dirección de Investigación y Desarrollo. Universidad Técnica de Ambato.
- López Ulloa, F. (2024). La efímera existencia de la iglesia Matriz de Ambato, 1904-1949. Cuadernos del Centro de Estudios en Diseño y Comunicación, (en edición). Buenos Aires: Universidad de Palermo.
- MCE. (2010). Las voces vivas del terremoto de 1949. Pelileo: el primer Memorial Público de Conciencia del Ecuador, Ministerio de Cultura del Ecuador. Ilustre Municipio de Pelileo. Quito: Subsecretaría de Patrimonio Cultural.
- Mencías Carrizosa, D. (2017). La geometría analítica como herramienta de análisis estructural de fábricas históricas, Tesis doctoral. Universidad Politénica de Madrid. Available online: http://oa.upm.es/47167/.
- Moseley, H. (1835). On the Equilibrium of the Arch, C. P. Society.
- Poveda, L. (2020). Estudio del Repertorio Religioso Patrimonial del Centro de la Ciudad de Ambato para el desarrollo de una propuesta de reconstrucción virtual con nuevas tecnologías de visualización. Trabajo de fin de grado. Universidad Tecnológica Indoamerica. Available online: http://repositorio.uti.edu.ec//handle/123456789/1665.
- Roca, P. (2010). Fiabilidad de las estructuras patrimoniales. Fiabilidad de las estructuras patrimoniales.
- Semanate, A. (1950). Sismología del terremoto de Pelileo, Quito: Casa de la Cultura Ecuatoriana.
- Torres, J. (2021). Ambato Terremoto y reconstrucción (1949-1961), Quito: Universidad Andina Simón Bolívar.














Disclaimer/Publisher’s Note: The statements, opinions and data contained in all publications are solely those of the individual author(s) and contributor(s) and not of MDPI and/or the editor(s). MDPI and/or the editor(s) disclaim responsibility for any injury to people or property resulting from any ideas, methods, instructions or products referred to in the content. |
© 2024 by the authors. Licensee MDPI, Basel, Switzerland. This article is an open access article distributed under the terms and conditions of the Creative Commons Attribution (CC BY) license (http://creativecommons.org/licenses/by/4.0/).