Preprint
Article

This version is not peer-reviewed.

Using Drones to Estimate and Reduce the Risk of Wildfire Propagation in Wildland-Urban Interfaces

A peer-reviewed article of this preprint also exists.

Submitted:

31 March 2025

Posted:

02 April 2025

You are already at the latest version

Abstract
Forest fires have become one of the most destructive natural disasters worldwide, causing catastrophic losses, sometimes with the loss of lives. Therefore, some countries have created legislation to enforce mandatory fuel management within buffer zones in the vicinity of buildings and roads. The purpose of this study is to investigate whether inexpensive off-the-shelf drones equipped with standard RGB cameras could be used to detect the excess of trees and vegetation in those buffer zones, using the services provided by the bundles of the EU Horizon project Chameleon. The article describes a system that uses drones equipped with RGB cameras to create detailed orthophoto maps and 3D point cloud files of the ground and then identifies trees and vegetation within the buffer zones that must be cut down to comply with the legislation on fuel management within those zones. The article also discusses the results obtained from two use cases: a road surrounded by dense forest and an isolated building with dense vegetation nearby. The main conclusion of this study is that off-the-shelf drones equipped with standard RGB cameras can be effective at detecting non-compliant vegetation and trees within buffer zones. This can be used to manage biomass within buffer zones, thus helping to reduce the risk of wildfire propagation in wildland-urban interfaces.
Keywords: 
;  ;  ;  ;  ;  ;  ;  ;  

1. Introduction

1.1. Context

Forest fires have become one of the most destructive natural disasters worldwide, causing catastrophic losses [1,2]. In 2017, rural wildfires in Portugal destroyed a large area of forest and farmland and caused the death of 114 people. In the aftermath of this event, the Portuguese government launched an enquiry to determine the relevant factors that led to this disaster. The experts designated for this task concluded that one of the main factors was the high density and continuity of vegetation in urban-forest and road-forest interfaces. Figure 1 shows a site where the density of trees near a road contributed to several casualties.
As a result, a new law was created (law 10/2018) [3], which aims to control the density of plant biomass near population centres, buildings and roads in rural areas. It specifies buffer zones with minimum distances between tree canopies, minimum distances between tree canopies and buildings, and maximum density of the shrub layer near buildings. Figure 2 illustrates the main buffer zones around buildings.
There are two major mandatory buffer zones: a 10-metres buffer zone (A) adjacent to buildings and an additional 40-metres buffer zone (B) to the unmanaged wildland, meaning that there must be at least a 50-metres zone around buildings where the vegetation and trees must be managed. In zone A, there are two sub-zones with different requirements: in the first 5 metres no trees or shrubs are allowed, but in the following 5 metres small trees and shrubs are allowed, provided they are low-flammable species, are watered and do not establish horizontal or vertical fuel continuity. In zone B, isolated trees are allowed if their crowns are separated by at least 4 metres. However, pine and eucalyptus are considered more dangerous than other species and the minimum distance between their crowns is 10 metres.
For roads and railways, the rules are simpler: there must be a single 10-metres buffer zone between the road and the wildland with mandatory fuel management, as can be seen in Figure 3.
Currently, the public authorities responsible for enforcing this law face serious challenges, because they rely solely on direct observations and manual measurements, but lack the human resources needed to assess the huge area of wildland-urban/road interfaces that exist in Portugal. There is therefore an opportunity to use technology to automate and simplify the task of verifying compliance with this law, using aerial images, artificial intelligence and web-based mapping frameworks.
Unmanned aerial vehicles (UAV), commonly known as drones, have emerged as important tools for tackling various aspects of forest fire science, from prevention to detection [4]. Currently, drones present several advantages when compared with traditional remote sensing platforms, such as satellites and manned aircraft, and both LiDAR and photogrammetry techniques are feasible solutions for measuring and monitoring aspects of complex forest structures [5].
The EU Horizon Chameleon Project [6], developed by a consortium of 12 partner organisations distributed in 9 European countries, aims to optimise production and identify potential problems in agriculture, livestock, forestry and rural areas, using drones and software bundles for specific purposes. This study aims to explore the use of drones and some of the Chameleon bundles to verify compliance with mandatory fuel management in buffer zones, helping to reduce the risk of forest fires spreading near buildings and roads. This is important because it can leverage the automation of compliance checks and allow a massive expansion of fire prevention operations in wildland-urban interfaces.

1.2. Related Work

The use of remote sensing technologies play an important role in fire ecology, including risk mapping, fuel mapping and active fire detection [5]. Guimarães et al. [7] have shown that drones present several advantages when compared with traditional remote sensing platforms, like satellites and manned aircrafts, namely better spatial and temporal resolutions and lower costs. They concluded that drones with LiDAR and RGB sensors are going mainstream and its importance for decision support is becoming increasingly relevant for researchers and foresters, and related business professionals. They also confirmed that LiDAR and photogrammetry techniques are both feasible solutions for measuring and monitoring aspects of complex forest structures.
Tomljanović et al. [8] confirm that drones equipped with RGB sensors are a cost-effective option for collecting high-resolution 3D point clouds of forests. They also state that forest fires monitoring and management, as one aspect of integrated forest protection, was one of the first fields that confirmed the importance of drones in forestry application.
While using photogrammetry techniques based on RGB sensors proved to be a cost-effective way of collecting information, LiDAR techniques provide better results, as Fernández-álvarez et al. have demonstrated [9]. They used LiDAR point clouds with an ultra-high resolution in the characterization of forest fuels for further wildfire prevention and management, allowing for the detection, measurement and characterization of individual trees and even shrubs. They applied the LiDAR-based methodology to characterize the forest fuels in a wildland-urban interface and along infrastructures, for wildfire protection purposes. Their study also describes the buffer zones that are mandatory in Spain, which are different from those defined in the Portuguese law.
Arkin et al. corroborate that using high-density point clouds has the potential to estimate vegetation metrics with high accuracy [10]. Their study demonstrates the relative ability of using remotely piloted aerial systems (RPAS) LiDAR, digital aerial photogrammetry (DAP) and mobile laser scanning (MLS) point clouds to estimate key canopy and surface fuel metrics used to model fire behaviour.
AI is also being widely used in this field: Boroujeni et al. have pointed out how the use of AI, UAV and deep learning models, has created an unprecedented momentum to implement and develop more effective wildfire management [11]. Identifying the type of biomass to estimate the risk of fire propagation in wildland-urban interfaces is one of the topics that could benefit from AI methodologies. Andrada et al. were able to use a drone with a custom sensor payload with LiDAR, stereo cameras, inertial measurement unit (IMU), and a multispectral camera to identify several types of biomasses (fuel), using a semantic segmentation model [12]. They concluded that their system provides a comprehensive solution for forest monitoring with drones, enabling accurate data collection and mapping for effective forest management and conservation.
Kwon et al. [13] have demonstrated how a deep-learning image segmentation method, using a mask recursive convolutional neural network (R-CNN), can be used to detect and identify trees in a dense forest. Trenčanová et al. were also able to use CNN with a segmentation network architecture (U-Net) to detect shrubs in heterogeneous landscapes [14]. Carbonell-Rivera et al. went even further: they have successfully used a consumer drone with a multispectral camera to classify shrub and tree species in Mediterranean forests, using point clouds obtained from UAV-based digital aerial photogrammetry [15].
Pham et al. have successfully employed artificial bee colony-adaptive neuro fuzzy inference system (ABC-ANFIS) to evaluate the risk of wildfires in Dak Nong, a province located in the highland region of Vietnam [16]. Liz-López et al. created a novel wildfire assessment model (WAM) based on a residual-style convolutional network architecture [17]. It performs regression over atmospheric variables and the greenness index, and is able to predict necessary resources, the control and extinction time, and the expected burnt surface area. This model is useful to anticipate the economic and ecological impact of a wildfire, assisting managers in resource allocation and decision-making.
The automatic identification of anthropogenic objects from aerial images and computation of buffer zones was investigated by several studies. Caggiano et al. [18] demonstrated that it was possible to detect individual buildings within the wildland-urban interface using semi-automated Object Based Image Analysis (OBIA) approach, which utilizes 4-band multispectral National Aerial Image Program (NAIP) imagery. However, this king of imagery has a low resolution (50 cm to 100 cm per pixel) and their approach struggles to detect smaller buildings. Moreover, their study calculates buffer zones around buildings but does not evaluate the presence of trees and vegetation within these buffer zones. In their conclusion, they point out that using artificial neural networks could be a better approach to detecting buildings from aerial imagery.
The vulnerability of wildland-urban interfaces has also recently gained attention from researchers, as they pose significant risks to lives and property. Aguirre et al. studied seven fire case studies in central Chile, using satellite and drone imagery, and GIS-based analysis of the collected data [19]. They concluded that spatial arrangement factors like distance to vegetation have a greater impact on damage prediction than the structural conditions and fire preparedness of individual buildings. Ortega et al. studied the general effectiveness of buffer zones in the southern Spain wildfires [20]. They concluded that buffer zones were indeed effective in containing the fire, especially when supported by ground and aerial firefighting. This confirms the importance of buffer zones around buildings and roads. Novo et al. proposed a methodology to detect the continuity of vegetation near roads, based on aerial LiDAR point clouds, in combination with point cloud processing techniques [21]. Their study emphasises the importance of forest management around roads in preventing forest fires and mitigating their effects.

1.3. Objectives of This Work

The main objective of this work is to create a set of tools, based on off-the-shelf drones equipped with RBG cameras, artificial intelligence and Chameleon bundles, to check compliance with the mandatory buffer zones around buildings and roads, as determined by the Portuguese law 10/2018 for rural areas. These tools should be evaluated in a small-scale pilot, using drones to capture high-resolution aerial imagery of designated areas, and then automatically determining whether these areas comply with the applicable rules regarding vegetation management inside buffer zones.
The tools should be able to identify the type of designated area (isolated building, urban-forest interface, road) and automatically delimit the zones that need to be assessed (buffer zones), according to the type of forest interface and the minimum size of the buffer zone, stipulated by law for each case. The tools should also be able to generate a high-resolution orthophoto and a 3D point cloud of the designated area from a set of aerial photos captured by an off-the-shelf drone. These data (especially the 3D point cloud) are required by the Chameleon bundles to extract information about trees and vegetation in the area.
The tools should use two different Chameleon bundles: BC1 (vegetation monitoring and census) and BC3 (continuity of vegetation), for extracting several different metrics from the data. After receiving the processed data from the bundles, the tool should be able to automatically determine if a designated area complies with the law, and in case of non-compliance, it should display a WebGIS map highlighting the specific zones that do not comply, informing the user of the reason, and suggesting a way of clearing the vegetation in order to remove the non-compliances.
The tool should be developed specifically to assess compliance with Portuguese law but prepared to be easily parameterised to assess different requirements for vegetation density and/or distances, so that it can be used on a European scale.

2. Materials and Methods

2.1. The System Architecture

The architecture and the components of the system that was developed are shown in Figure 4, which also illustrates the flow of data across the system. It all starts with a designated area, which is defined by the end user, by drawing a polygon on a WebGIS interface based on Mapbox GL. This polygon represents the area that the user wants to evaluate, i.e. the area of interest.
The area of interest is sent to another module, the drone’s mission planner, which calculates an optimised flight path over the area of interest, considering the requirements of each bundle, for example image resolution and overlapping. After the flight over the area of interest using the waypoints calculated by the mission planner, the mosaic of high-resolution images is then processed to generate a high-resolution orthophoto map and a 3D point cloud file, which are required by the Chameleon bundles.
Bundle BC1 (vegetation monitoring and census) is used to identify individual trees and extract their traits, namely the crown projection area, allowing measurement of the distances between tree canopies. Bundle BC3 (continuity of vegetation) is used to identify clusters of connected trees in the area of interest.
After the bundles process the input data, the generated results are sent to a post-processor module, which merges all the results and determines if the area of interest complies with the parameterised vegetation density and minimum distances between tree crowns. In case of non-compliance, the post-processor displays a WebGIS interface with the designated area, a layer showing the zones that do not comply, and a report describing the reasons for the nonconformity.

2.2. Use Cases

The preparation of the data acquisition started by choosing the designated areas for two different use cases, selecting locations for samples and requesting official authorization to fly over the designated areas. The designated areas were chosen near the “Pedrógão Grande” region (location of the deadly wildfires of 2017). This area has a high density of forest, with many challenging urban-forest interfaces that are ideal for validating the tools and the Chameleon bundles.
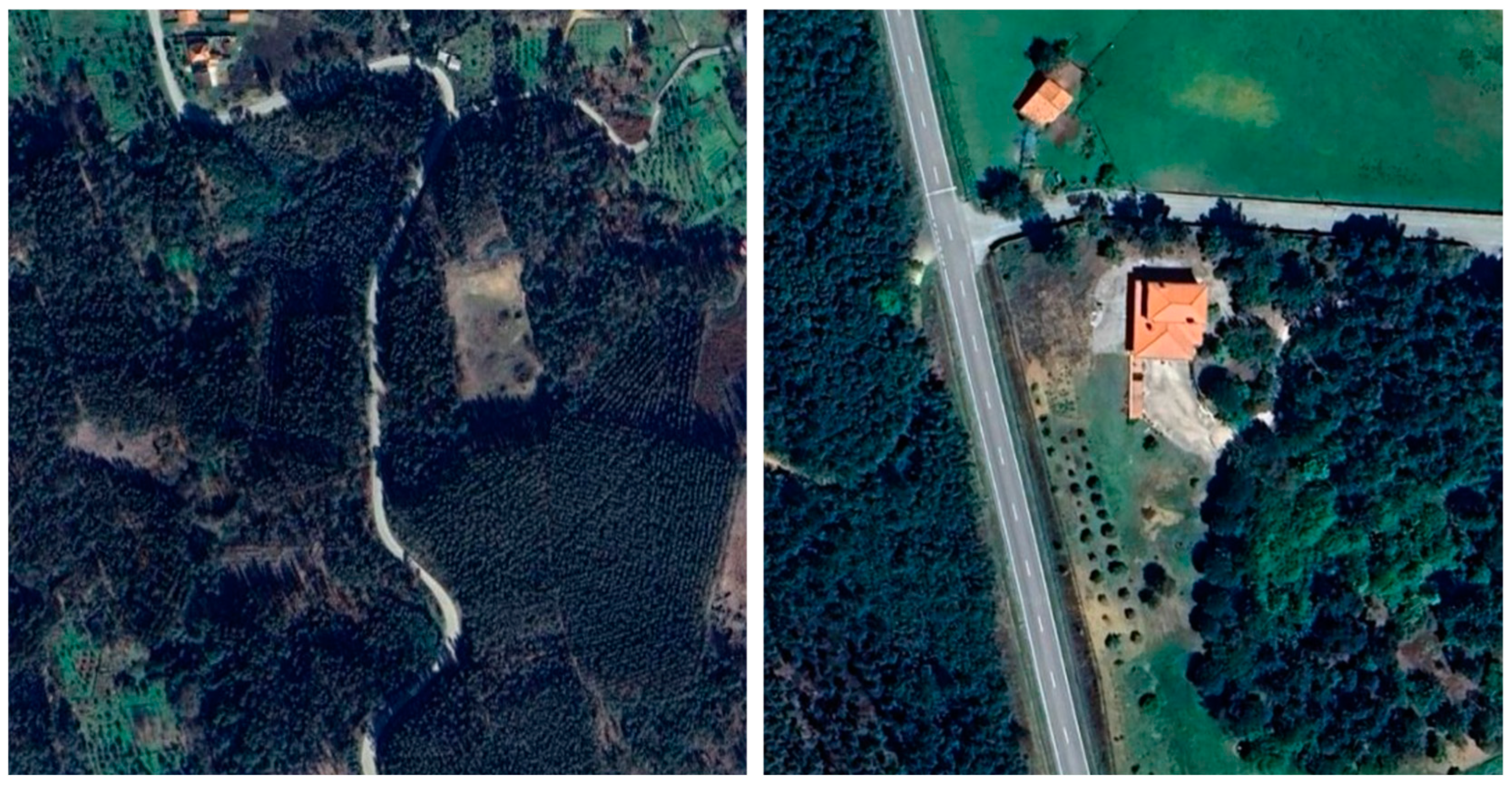
Two different types of designated areas were envisaged: a road heavily surrounded by forest and a site with an isolated building in the forest, with a problematic urban-forest interface. The first designated area is a segment of road N236, near the village of “Derreada Cimeira” (Castanheira), GPS coordinates: 39°58'53"N 8°09'24"W, which is illustrated in Figure 5, left side. This segment has been chosen because of the high density of trees next to the road. It is a good example of the high density of vegetation that surrounds many of the region's roads.
The second use case addresses a site with a single isolated building, near coordinates 39°55'09.0"N 7°55'28.3"W, which is shown in the right side of Figure 5. This is an example that represents many other buildings in the area that have been authorised near forests with a high density of trees and vegetation.

2.3. Mission Planner

A mission planner tool was developed to prepare and automate image capturing by drones, with the following requirements:
It should be able to process a polygon consisting of GPS coordinates delimiting the area of interest for each use case, allowing drawing and editing the polygon directly on a WebGIS interface.
It should be able to calculate the GPS locations (waypoints) and the optimal path to capture the mosaic of images for the designated area, according to the sensor characteristics and bundle requirements concerning image overlapping and represent it on a WebGIS interface.
It should be able to export the waypoints as a Waypoint Markup Language (WPML) file (KMZ file), which could then be used with drones compatible with WPML, such as some DJI drones. The use of a KMZ file allows fully automatic flight and image capture along the path.
The module was successfully developed and tested, and all the requirements were met. Initially the flight pattern was based on south-north patterns, but after some testing, it was discovered that east-west patterns with a gimbal pitch of some degrees deviated from nadir (-90 °) were more effective for point cloud generation.
Figure 6 shows the interface of the mission planner module, where the user can define several parameters related to the drone’s camera, namely the horizontal and vertical resolution, its field of view (FOV) and the gimbal pitch to use. The user can also define the parameters related to the bundle’s recommendations regarding the captured images, specifically resolution in cm/pixel, forward overlapping, and lateral overlapping.
The module calculates and shows the waypoints where images must be captured to comply with the required parameters. The path is initially calculated as a simple east-west linear sweep that embraces the designated area, but it can be further optimized using a nearest neighbour algorithm, followed by a 2-opt optimization algorithm. Our tests have shown that the linear sweep solution is good enough for most cases. Optimisation steps can slightly reduce the number of points, and the total distance travelled, but these marginal gains hardly justify the need for optimisation.
These waypoints can then be saved in CSV, PDF or KMZ format (WPML) so that they can be exported to KMZ compatible drones (such as some DJI drones), allowing automated mapping operations.

2.4. Data Generated from the Aerial Images

The captured images for each use case were processed by Open Drone Map (ODM) software [22], to generate a high-resolution orthophoto map and a 3D point cloud file, which are needed by the chameleon bundles to extract information about trees and vegetation. Figure 7 illustrates the orthophoto and 3D point cloud for the Castanheira use case.
Figure 8 shows the orthophoto and 3D point cloud for the Oleiros use case.
ODM was unable to determine the 3D point cloud of some trees, as the large number of similar trees near each other means that it is difficult to extract unambiguous geo-referenced features. A methodology using LiDAR to enhance the model would probably provide better results.

2.5. Defining the Buffer Zones Around Buildings and Roads

The pre-processor module should be able to define the relevant objects (buildings, roads) and calculate the mandatory buffer-zones around them, in accordance with the law. The goal was to use AI methodologies to detect these zones and then automatically calculate the buffer zones around these objects. It should also allow the user to define those zones or edit the results generated by the AI components, because they are not 100% accurate.
After some research, it was decided to use YOLOv11 [23] as the AI model for detecting and segmenting buildings and roads from aerial images, due to its speed and efficiency. However, a pretrained model with these characteristics was not found, therefore a new model had to be trained from scratch. Training YOLO models requires a large dataset, with a specific format. After some research, the Inria Aerial Image Labeling Dataset [24] was elected as the most suitable source to train the model to detect buildings. However, the images in this dataset are huge and the training data is delivered as image masks instead of polygons, so this dataset had to be converted to smaller images and polygon metadata compatible with YOLO segmentation training.
Training the model required a powerful GPU with many GB of NVRAM, so it was trained in the cloud platform Paperspace [25]. After 64 epochs the model converged, and the training was stopped. The trained model was embedded in a Python based API, which is then consumed by the WebGIS Javascript interface of the tool. To use the AI segmentation the user just needs to move the map to the desired location and press a button. Figure 9 shows an example of AI segmentation on a location with several buildings.
The lines around the buildings delimit the buffer zones that are automatically calculated after each building is detected. The first buffer zone is a 10 m buffer around the walls of the building, and the second one is a 50 m buffer zone in relation to the walls of the building (40 m from the first buffer zone). Each one of these buffer zones must comply with different requirements defined by law: in the first buffer zone, trees and wild vegetation are basically forbidden whereas in the second buffer zone, trees are allowed, but with a minimum distance of 4 metres between their crowns.

3. Results

The post-processor module receives the output from the bundles and determines the vegetation and trees in the buffer zones that do not comply with the law and should therefore be cut down. The post processor basically uses data from Chameleon bundles BC1 and BC3 to identify the vegetation and trees inside the buffer zones and then applies an algorithm to select the zones where vegetation and trees should be cut down. In the first buffer zone (10 m buffer zone) the operation is straightforward, as all vegetation and trees must be removed. However, in the second buffer zone (10 m to 50 m buffer zone) the algorithm is more complex, because trees are allowed if their crowns are separated by at least 4 metres.
Figure 10 shows the result of the compliance check of the Castanheira use case. The red zones indicate trees and vegetation inside the buffer zones that do not comply with the law and must therefore be cut down.
This first use case is very simple, because only the first buffer zone (10 m) is required. However, the use case Oleiros is more complex, because there is a road but also a building, which requires two different buffer zones. The result of the compliance check of this use case can be observed in Figure 11. The red zones represent vegetation and trees that must be cut down to comply with the law and thus reduce the risk of wildfire propagation near the building.
The accuracy of the compliance check depends directly on the accuracy of the Chameleon bundles that extract information from the 3D point cloud files. As a matter of fact, the bundles are not faultless and generate two types of errors: false positives (areas wrongly classified as trees or vegetation) and false negatives (trees and vegetation not classified as such).
The accuracy of the bundles was estimated using a black box testing approach, feeding them the data of the Oleiros use case, and comparing their output with the expected results (ground truth). Their calculated accuracy is shown in Table 1.
As the compliance check uses both bundles cumulatively, the high rate of false negatives of bundle BC3 is compensated by the better accuracy of bundle BC1 concerning the false negatives.

4. Discussion

The main objective of this study was to check whether inexpensive off-the-shelf drones equipped with standard RGB cameras could be used to detect the excess of trees and vegetation in buffer zones around buildings and roads, as defined by the Portuguese law.
To accomplish this wider goal, several smaller challenges had to be tackled. The first one was related with the input of the Chameleon bundles, which require a high-resolution orthophoto map and a high-quality 3D point cloud file. Therefore, the system had to be able to create these files from a mosaic of aerial RGB images captured by the drone. This was accomplished by using the ODM software, which easily created high-quality orthophoto maps from almost any type of image mosaics, as long as the images were sufficiently overlapped.
However, creating high-quality 3D point clouds of trees and vegetation with ODM proved more complicated, requiring several adjustments until the results were satisfactory. The best results were obtained with east-west sweeps, strong image overlapping and a gimbal pitch of some degrees off-nadir. Even the best results were not perfect: some trees were not correctly represented, especially in areas with high density of similar trees. Using a methodology that fuses photogrammetry with LiDAR data would probably lead to better results, and is something worth researching.
Another challenge that the system had to overcome was the automatic recognition of buildings using AI and the automatic definition of buffer zones around buildings and roads. The automatic segmentation of buildings was facilitated by using the YOLO segmentation model, which is easy to train and use. After the segmentation of buildings (using AI) and roads (manually), the automatic definition of buffer zones was seamlessly implemented by using standard geospatial libraries.
The representation of the buffer zones over the high-resolution orthophoto map, without any other additional data, already gives valuable insights to the user. In fact, using drones to capture photos from the ground allows high-resolution orthophoto maps (1 cm per pixel is easily achievable), where vegetation and trees are then easily spotted by a human user. However, the system is able to automatically identify the offending vegetation and trees within the buffer zones, thanks to the information extracted by the Chameleon bundles from the 3D point cloud files. Therefore, the user can be directly warned about the zones within the buffer zones that need attention, and that is the main objective of this system.

5. Conclusion

All in all, the main conclusion of this study is that off-the-shelf drones equipped with standard RGB cameras can be effective at detecting non-compliant vegetation and trees within buffer zones. This can be used to identify and cut down the excess vegetation and trees in buffer zones, thus helping to reduce the risk of wildfire propagation in wildland-urban interfaces. The work carried out in this study has paved the way for the launch of a commercial service for estimating wildfire propagation risk in wildland-urban interfaces.

Author Contributions

Conceptualization, O.S. and N.S.; methodology, O.S. and N.S.; software, O.S.; validation, O.S. and N.S.; formal analysis, O.S.; investigation, O.S.; writing—original draft preparation, O.S. and N.S.; writing—review and editing, O.S. and N.S.; project administration, N.S.; funding acquisition, N.S. All authors have read and agreed to the published version of the manuscript.

Funding

This research has indirectly received funding from the European Union’s Horizon Europe research and innovation action programme, via the CHAMELEON Open Call #2 issued and executed by Axtron Systems under the CHAMELEON project (Grant Agreement no. 101060529).

Conflicts of Interest

The authors declare no conflicts of interest. The funders had no role in the design of the study; in the collection, analyses, or interpretation of data; in the writing of the manuscript; or in the decision to publish the results.

Abbreviations

The following abbreviations are used in this manuscript:
AI Artificial Intelligence
CNN Convolutional neural network
DAP Digital aerial photogrammetry
FOV Field of view
IMU Inertial measurement unit
LiDAR Light detection and ranging
MLS Mobile laser scanning
NAIP National aerial image program
OBIA Object based image analysis
ODM Open Drone Map
RPAS Remotely piloted aerial systems
UAV Unmanned aerial vehicle
WPML Waypoint markup language

References

  1. Jain, P.; Castellanos-Acuna, D.; Coogan, S.C.; Abatzoglou, J.T.; Flannigan, M.D. Observed increases in extreme fire weather driven by atmospheric humidity and temperature. Nat. Clim. Chang 2022, 12, 63–70. [Google Scholar] [CrossRef]
  2. Jolly, W.M.; Cochrane, M.A.; Freeborn, P.H.; Holden, Z.A.; Brown, T.J.; Williamson, G.J.; Bowman, D.M.J.S. Climate-induced variations in global wildfire danger from 1979 to 2013. Nat. Commun. 2015, 6, 7537. [Google Scholar] [CrossRef] [PubMed]
  3. Diário da República. Available online: https://diariodarepublica.pt/dr/detalhe/decreto-lei/10-2018-114685734 (accessed on 20 March 2025).
  4. Perikleous, D.; Koustas, G.; Velanas, S.; Margariti, K.; Velanas, P.; Gonzalez-Aguilera, D. A Novel Drone Design Based on a Reconfigurable Unmanned Aerial Vehicle for Wildfire Management. Drones 2024, 8, 203. [Google Scholar] [CrossRef]
  5. Szpakowski, D.M.; Jensen, J.L.R. A Review of the Applications of Remote Sensing in Fire Ecology. Remote Sens. 2019, 11, 2638. [Google Scholar] [CrossRef]
  6. CHAMELEON. A Holistic Approach to Sustainable, Digital EU Agriculture, Forestry, Livestock and Rural Development based on Reconfigurable Aerial Enablers and Edge Artificial Intelligence-on-Demand Systems. Available online: https://chameleon-heu.eu/ (accessed on 20 March 2025).
  7. Guimarães, N.; Pádua, L.; Marques, P.; Silva, N.; Peres, E.; Sousa, J. Forestry Remote Sensing from Unmanned Aerial Vehicles: A Review Focusing on the Data, Processing and Potentialities. Remote Sens 2020, 12, 1046. [Google Scholar] [CrossRef]
  8. Tomljanović, K.; Kolar, A.; Đuka, A.; Franjević, M.; Jurjević, L.; Matak, I.; Ugarković, D.; Balenović, I. Application of UAS for Monitoring of Forest Ecosystems – A Review of Experience and Knowledge. Croatian Journal of Forest Engineering 2022, 43, 487–504. [Google Scholar] [CrossRef]
  9. Fernández-álvarez, M.; Armesto, J.; Picos, J. LiDAR-based wildfire prevention in WUI: The automatic detection, measurement and evaluation of forest fuels. Forests 2019, 10, 148. [Google Scholar] [CrossRef]
  10. Arkin, J.; Coops, N.C.; Daniels, L.D.; Plowright, A. Canopy and surface fuel estimations using RPAS and ground-based point clouds. Forestry 2025, 98, 15–28. [Google Scholar] [CrossRef]
  11. Boroujeni, S.P.H.; Razi, A.; Khoshdel, S.; Afghah, F.; Coen, J.L.; O'Neill, L.; Fule, P.; Watts, A.; Kokolakis, N.-M.T.; Vamvoudakis, K.G. A comprehensive survey of research towards AI-enabled unmanned aerial systems in pre-, active-, and post-wildfire management. Information Fusion 2024, 108, 102369. [Google Scholar] [CrossRef]
  12. Andrada, M.E.; Russell, D.; Arevalo-Ramirez, T.; Kuang, W.; Kantor, G.; Yandun, F. Mapping of Potential Fuel Regions Using Uncrewed Aerial Vehicles for Wildfire Prevention. Forests 2023, 14, 1601. [Google Scholar] [CrossRef]
  13. Kwon, K.; Kwon, C.G.; Lee, Y.-e.; Kim, S.Y.; Im, S.-k. Aerial Imaging-Based Fuel Information Acquisition for Wildfire Research in Northeastern South Korea. Forests 2023, 14, 2126. [Google Scholar] [CrossRef]
  14. Trenčanová, B.; Proença, V.; Bernardino, A. Development of Semantic Maps of Vegetation Cover from UAV Images to Support Planning and Management in Fine-Grained Fire-Prone Landscapes. Remote Sens. 2022, 14, 1262. [Google Scholar] [CrossRef]
  15. Carbonell-Rivera, J.P.; Torralba, J.; Estornell, J.; Ruiz, L.Á.; Crespo-Peremarch, P. Classification of Mediterranean Shrub Species from UAV Point Clouds. Remote Sens. 2022, 14, 199. [Google Scholar] [CrossRef]
  16. Pham, V.T.; Do, T.A.T.; Tran, H.D.; Do, A.N.T. Classifying forest cover and mapping forest fire susceptibility in Dak Nong province, Vietnam utilizing remote sensing and machine learning. Ecological Informatics 2024, 79, 102392. [Google Scholar] [CrossRef]
  17. Liz-López, H.; Huertas-Tato, J.; Pérez-Aracil, J.; Casanova-Mateo, C.; Sanz-Justo, J.; Camacho, D. Spain on fire: A novel wildfire risk assessment model based on image satellite processing and atmospheric information. Knowledge-Based Systems 2024, 283, 111198. [Google Scholar] [CrossRef]
  18. Caggiano, M.D.; Tinkham, W.T.; Hoffman, C.; Cheng, A.S.; Hawbaker, T.J. High resolution mapping of development in the wildland-urban interface using object based image extraction. Heliyon 2016, 2(10), e00174. [Google Scholar] [CrossRef] [PubMed]
  19. Aguirre, P.; León, J.; González-Mathiesen, C.; Román, R.; Penas, M.; Ogueda, A. Modelling the vulnerability of urban settings to wildland-urban interface fires in Chile. Natural Hazards and Earth System Sciences 2024, 24, 1521–1537. [Google Scholar] [CrossRef]
  20. Ortega, M.; Silva, F.R.Y.; Molina, J.R. Modeling fuel break effectiveness in southern Spain wildfires. Fire Ecology 2024, 20(1), 40. [Google Scholar] [CrossRef]
  21. Novo, A.; Fariñas-Álvarez, N.; Martínez-Sánchez, J.; González-Jorge, H.; Lorenzo, H. Automatic Processing of Aerial LiDAR Data to Detect Vegetation Continuity in the Surroundings of Roads. Remote Sens. 2020, 12, 1677. [Google Scholar] [CrossRef]
  22. OpenDroneMap – A command line toolkit to generate maps, point clouds, 3D models and DEMs from drone, balloon or kite images. Available online: https://www.opendronemap.org/ (accessed on 13 December 2024).
  23. Ultralytics YOLO11. Available online: https://github.com/ultralytics/ultralytics (accessed on 20 March 2025).
  24. Maggiori, E.; Tarabalka, Y.; Charpiat, G.; Alliez, P. Can Semantic Labeling Methods Generalize to Any City? The Inria Aerial Image Labeling Benchmark. In Proceedings of the IEEE International Geoscience and Remote Sensing Symposium (IGARSS), Fort Worth, TX, USA, 4 December 2017. [Google Scholar] [CrossRef]
  25. Digital Ocean Paperspace. Available online: https://www.paperspace.com/ (accessed on 7 January 2025).
Figure 1. Density of trees surrounding the road where several people perished.
Figure 1. Density of trees surrounding the road where several people perished.
Preprints 154290 g001
Figure 2. Buffer zones around buildings where fuel management is mandatory.
Figure 2. Buffer zones around buildings where fuel management is mandatory.
Preprints 154290 g002
Figure 3. Mandatory buffer zones around roads.
Figure 3. Mandatory buffer zones around roads.
Preprints 154290 g003
Figure 4. System architecture and components.
Figure 4. System architecture and components.
Preprints 154290 g004
Figure 5. Aerial view of the two use cases: Castanheira (left) and Oleiros (right).
Figure 5. Aerial view of the two use cases: Castanheira (left) and Oleiros (right).
Preprints 154290 g005
Figure 6. The mission planner module.
Figure 6. The mission planner module.
Preprints 154290 g006
Figure 7. Orthophoto and 3D point cloud for the Castanheira use case.
Figure 7. Orthophoto and 3D point cloud for the Castanheira use case.
Preprints 154290 g007
Figure 8. Orthophoto and 3D point cloud for the Oleiros use case.
Figure 8. Orthophoto and 3D point cloud for the Oleiros use case.
Preprints 154290 g008
Figure 9. Example of AI segmentation and calculation of buffer zones.
Figure 9. Example of AI segmentation and calculation of buffer zones.
Preprints 154290 g009
Figure 10. Results of compliance check of the Castanheira use case.
Figure 10. Results of compliance check of the Castanheira use case.
Preprints 154290 g010
Figure 11. Results of compliance check of the Oleiros use case.
Figure 11. Results of compliance check of the Oleiros use case.
Preprints 154290 g011
Table 1. Bundle accuracy results.
Table 1. Bundle accuracy results.
Bundle False positives False negatives
BC1 2.6% 0.8%
BC3 3.8% 21.3%
Disclaimer/Publisher’s Note: The statements, opinions and data contained in all publications are solely those of the individual author(s) and contributor(s) and not of MDPI and/or the editor(s). MDPI and/or the editor(s) disclaim responsibility for any injury to people or property resulting from any ideas, methods, instructions or products referred to in the content.
Copyright: This open access article is published under a Creative Commons CC BY 4.0 license, which permit the free download, distribution, and reuse, provided that the author and preprint are cited in any reuse.
Prerpints.org logo

Preprints.org is a free preprint server supported by MDPI in Basel, Switzerland.

Subscribe

Disclaimer

Terms of Use

Privacy Policy

Privacy Settings

© 2026 MDPI (Basel, Switzerland) unless otherwise stated